ID CP2567793
FOISORUL DE FOC | Teren 259mp cu casa veche 9 min metrou Iancului
    Această proprietate nu mai este activă,
    
    te invităm să vizualizezi proprietăți similare
  
ID CP2567793
198,700 € (negociabil)
COMISION 0% pentru Cumpărător!
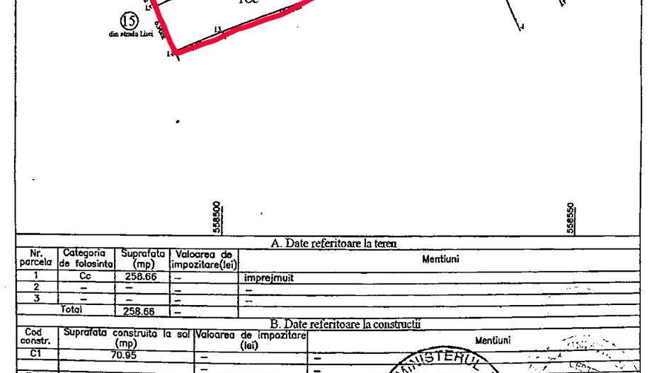
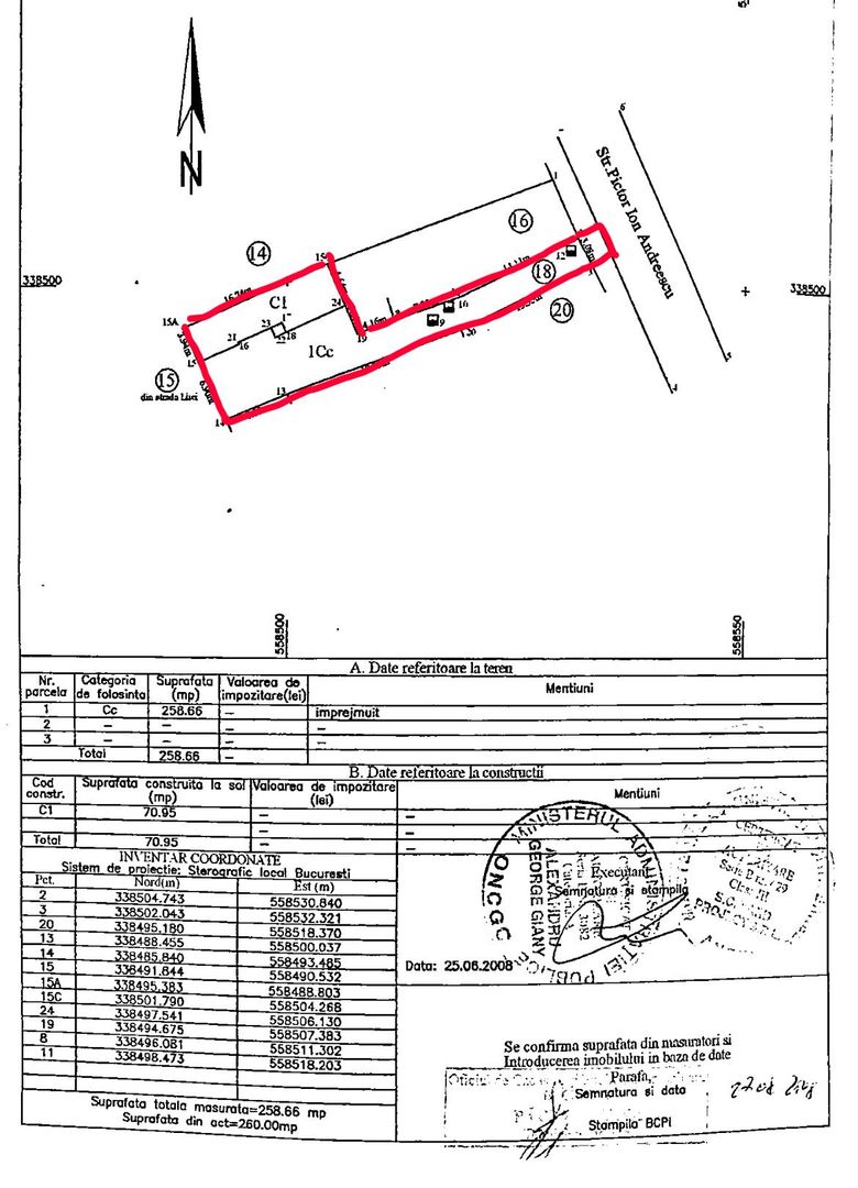
Va propun spre vânzare un teren de 259mp pe Strada Pictor Ion Andreescu 18, situat in apropiere de foarte multe puncte de interes precum: Bdul Pache Protopopescu, Bdul Ferdinand I, Foișorul de Foc, Studiourile PRO TV, Colegiul Național Mihai Viteazul, Colegiul Național Iulia Hasdeu, Grădină Mătăsari, Calea Moșilor, UNATC, metrou Iancului, acces facil către Universitate si zona ultracentrală a Bucureștiului.
Proprietatea este pretabilă pentru: clienți rezidențiali ce își doresc o casa in zona centrala, aproape de foarte multe puncte de interes, antreprenori cu afaceri boutique(clinici, cabinete, birouri), dezvoltatori de micro-proiecte rezidențiale, investitori imobiliari de nisa, arhitecți sau chiar fonduri de investiții ce cumpara in zone centrale pentru apreciere pe termen lung.
Diferentiatori ai proprietatii, dar si avantaje:
- locatia e o raritate, aproape imposibil de replicat azi in piață (9 minute de mers pe jos fata de metrou Iancului + la câțiva pași de arterele principale ale orașului)
- deschidere de 3ml pe o adâncime de 25m, ceea ce face proprietatea sa fie retrasă, fata de zgomotul si agitația urbana din centrul Bucureștiului + poate deveni o semnătura arhitecturală pentru un arhitect căruia ii plac provocările
- existența unei construcții deja edificate (71mp), ce va permite renovare+extindere, obținere mai rapidă a autorizațiilor, o strategie de reconversie inteligenta, in loc sa se pornească de la 0
- posibilitatea de mansardare, deoarece casa existentă permite extindere verticală – oportunitate perfectă pentru maximizarea spațiului construit, fără a depăși înălțimea de 10m
- vecinătăți cu construcții la calcan, permite construirea la calcan, în concordanță cu vecinătatea – fără conflicte urbanistice sau disconfort pentru vecini
- face parte din zona protejata nr. 98, dar cu parametri urbanistici generoși pentru zona centrala (POT=50% si CUT=2)
- investitie de tip "entry level" in zona premium
- zona este caracterizată de regenerare urbană activă, cu multe clădiri consolidate sau înlocuite cu blocuri noi, ceea ce oferă stabilitate, imagine de prestigiu și potențial excelent pentru proiecte rezidențiale sau comerciale boutique
- pivniță funcțională de 10mp, spațiu ideal pentru depozitare, camera tehnica sau crama urbana
Pe 28 iunie, între orele 12:00 și 17:00, vă așteptăm la BBQ OPEN HOUSE Party – un eveniment relaxat, dar bine organizat, unde puteți vizita proprietatea, discuta liber și vă puteți forma o părere în propriul ritm. Sunteți binevenit alături de familie/prieteni/cunoștințe!
Pentru o primă impresie, vă invităm să accesați turul virtual și video-ul proprietății – iar pe 28 iunie, între 12:00 și 17:00, vă așteptăm și fizic la BBQ OPEN HOUSE Party, să o descoperiți pe viu, într-un cadru relaxat.
Pentru a afla mai multe detalii si pentru a putea stabili o vizionare, va rog sa mă sunați la numărul: 0769 680 769
 
         
         
         
         
         
         
         
         
         
         
         
         
         
         
         
         
         
         
         
         
         
         
         
         
         
         
         
         
         
         
         
         
         
         
         
         
         
         
         
         
         
         
         
         
         
         
         
         
         
         
         
         
         
         
         
         
         
         
         
         
         
         
         
         
         
         
         
         
         
         
         
         
         
         
         
         
         
         
         
         
         
         
         
         
         
         
         
         
         
         
         
         
         
         
         
         
        